~ K D P ~

. . . . . . .

Інвестиції в інноваційний стартап Farsight Vision

image

Стартап Farsight Vision з України отримав фінансування в розмірі 7,2 млн євро від європейських інвесторів за підтримки платформи Brave1. Міністерство цифрової трансформації України повідомляє, що ця компанія розробляє інструменти на основі штучного інтелекту для військової розвідки.

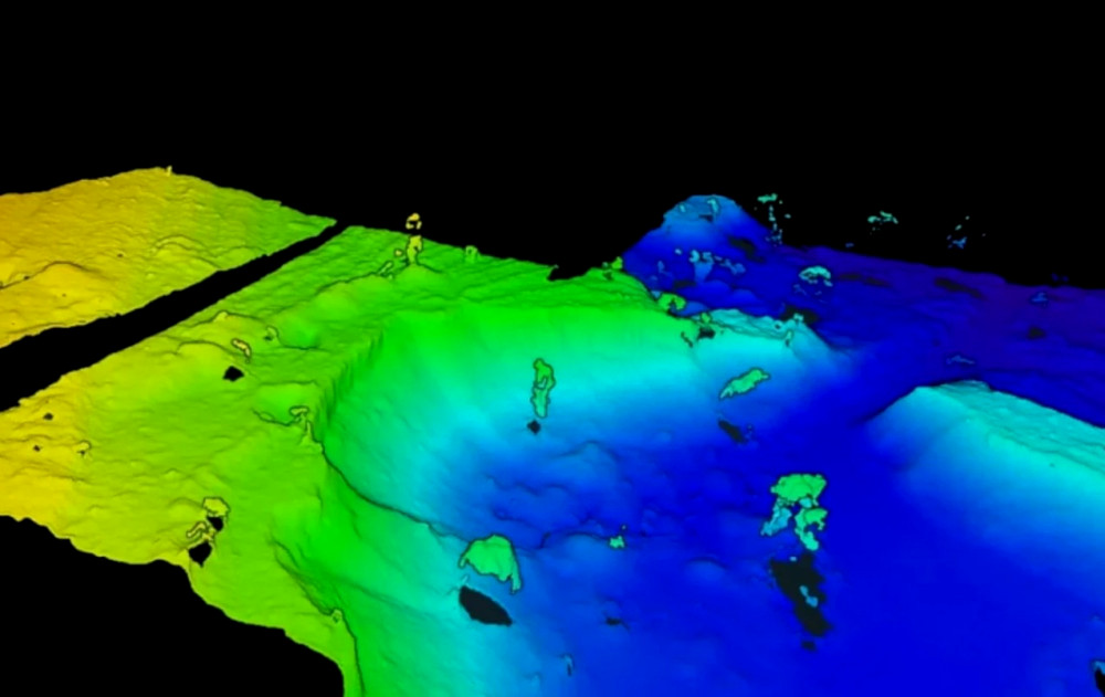
Технологія аналізує дані з місцевості та в режимі реального часу передає інформацію операторам безпілотників, надаючи точну картину бойового поля. Міністерство вважає цю платформу технологічним аналогом супутникової розвідки.

"Залучення інвестицій українськими стартапами від міжнародних партнерів свідчить про довіру до наших технологій та підтверджує, що Україна задає нові стандарти у сучасних військових конфліктах," - йдеться в повідомленні.

Згідно з інформацією Мінцифри, отримані кошти Farsight Vision планує витратити на розробку рішень для автоматизації логістики, навігації та управління озброєнням, а також на підвищення безпеки на полі бою та критичній інфраструктурі з використанням штучного інтелекту.

Крім того, за даними видання Defender Media, команда компанії планує інтегрувати свої розробки в єдину систему для підвищення автономності бойових дронів. Це рішення має включати розвідку, цілевказівку з координатами, передачу цілей ударним дронам та навігацію на фінальному етапі польоту.

Defender Media також повідомляє, що інвестиційний раунд очолили американська компанія Axon Enterprise та естонський державний фонд SmartCap Defence Fund. У проекті також взяли участь польська компанія Radix Ventures, швейцарський Anker Capital і данський Final Frontier. Зокрема, повторну інвестицію в стартап здійснив естонський фонд Darkstar, один з перших інвесторів Farsight Vision.

Згідно з інформацією видання, рішення компанії дозволяють у реальному часі конвертувати зображення з дронів у 3D-моделі та ортофотоплани з інтегрованим виявленням об'єктів і відстеженням аномалій, навіть без GNSS, та інтегруються з системами управління бойовими діями, мобільними застосунками, симуляторами та VR-інструментами.